サンショウ(山椒)

落葉低木
 北海道〜九州の丘陵や低い山地のやや湿り気の多い林縁や林内に生える。高さ1〜5m、直径8〜15cmになる。樹皮は灰褐色。刺やコルク質のいぼ状突起があり、ごつごつしている。若い枝は緑色〜赤褐色。枝や葉柄の基部に長さ5〜12mmの赤褐色の刺が1個ずつ対生状につく。葉は互生。長さ5〜18cmの奇数羽状複葉。葉軸にはわずかに翼がある。葉柄は長さ1〜2cm、上面には溝があり、ときに短い刺がつく。小葉は5〜9対で長さ1〜3.5cm、幅6〜14mmの卵状長楕円形または卵形。先端は鈍く、基部は鈍形またはくさび形。縁には波状の鋸歯があり、へこんだ部分に明るい腺点がある。若い葉は表面の主脈や葉軸などに毛が生え、ときに短い刺がつく。雌雄別株。枝先に長さ2〜5cmの円錐花序をだし、淡黄緑色の小さな花をつける。雄花の花被片は5〜9個、長さ約2mm。雄しべは4〜8個、花被片より長い。雌花の花被片は7〜8個。子房は2個で、花柱は離生する。果実は2個の分果に分かれる。分果は直径約5mmの球形で、9〜10月に赤褐色または紅色に熟し、裂開して種子を1個だす。種子は黒くて光沢があり、長さ3.5〜4mmの楕円状球形。種子には強い辛味がある。花期は4〜5月。
 冬芽は裸芽。ほぼ球形で長さ1.5〜3mm。表面には伏毛が密生する。側芽は小さい。葉痕はハート形または半円形で、維管束痕が3個あり、猿の顔のように見える。(樹に咲く花)
 花被片は7〜8個、狭披針形で先はとがり、長さ約2mm。雄花は5〜6個の雄蕊をもつ。雌花は2〜3個の離生心皮からなる雌蕊をもつ。果実は1〜3個の分果に分かれ、分果は楕円状球形で長さ約5mm、赤色でしわがある。種子は楕円状球形で長さ約4mm。(日本の野生植物)
イヌザンショウに似るが、葉の香りがよく、鋸歯の切れ込みが目立つ。
学名は、Zanthoxylum piperitum
ミカン科サンショウ属



▼2017年5月1日 雌花 玉湯▼花柱は離生し柱頭が2個ある。子房は2個。

サンショウ

サンショウ

サンショウ

▼子房の基部に小さな花被片がある。

サンショウ

サンショウ

サンショウ

▼刺は対生する。

サンショウ

サンショウ

サンショウ




▼2008年5月4日 雌花 玉湯▼柱頭が2〜3個ある。花弁と萼の区別がない。

サンショウ

サンショウ

サンショウ

▼2004年4月25日 雌花 八雲

サンショウ

サンショウ

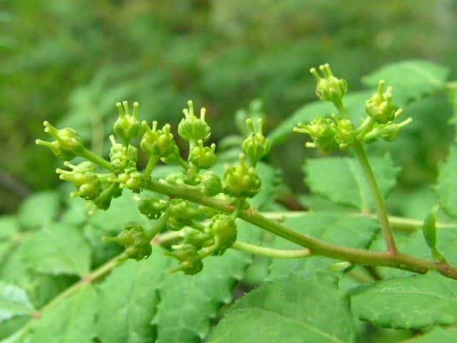
▼2004年4月18日 蕾 鹿島

サンショウ

サンショウ

▼2017年5月2日 葉 玉湯▼鋸歯の内側に腺点がある。

サンショウ

サンショウ

サンショウ

▼腺点の拡大。▼葉の裏面。

サンショウ

サンショウ

▼2006年6月3日 実 東忌部▼小葉の先端が浅く2裂する。

サンショウ

サンショウ

サンショウ

▼刺は対生につく。

サンショウ

サンショウ

▼2008年11月30日 果実 東忌部

サンショウ

サンショウ

▼2008年3月2日 冬芽と葉痕 玉湯

サンショウ

サンショウ

サンショウ

▼幹は刺といぼ状突起でゴツゴツする。

サンショウ

サンショウ

▼2007年12月16日 冬芽 玉湯▼刺が対生に2個ついている。

サンショウ

サンショウ

サンショウ

▼古木のため幹がこぶでごつごつしている。▼高さは3mくらい。

サンショウ

サンショウ

▼2006年1月22日 冬芽 浜乃木

サンショウ



島根県松江市の野草や樹木、シダを載せています。
松江の花図鑑