ウワバミソウ(蟒蛇草)

多年草
北海道〜九州の山地の水湿斜面にやや群生する。茎は毛がなく多汁で、長さ30〜40cm、斜めに立つか、斜面に垂れる。葉は長楕円形で左右不同、長さ5〜12cm、先は鋭くとがり、内側辺では3〜10個、外側辺では6〜13個の鋸歯があり、両面に短い毛がまばらにある。花は緑白色で、春には雄花序が出て、その脱落後に雌花序が開くが、短い茎では雌花序しかつけないことが多い。雄花序には長さ1〜2cmの柄があるが、雌花序には柄がない。雄花は4花被片と4雄しべがある。雌花被片は3個で、背面に短毛が多い。そう果は卵形で淡黄色、長さ約1mm。秋遅くになると茎の節がふくらんだむかご状になり、ばらばらに離れて落ち、発芽して新苗になる。花期は4〜9月。(日本の野生植物)
学名は、Elatostema involucratum
イラクサ科ウワバミソウ属
 よく似たヒメウワバミソウは鋸歯が2〜5個ある。またヤマトキホコリは雌雄同株で花は柄がなく球状。時に有柄の雄花序。花期が8〜10月。
 ウワバミソウの果実の基部に数個の透明質な丸まったものがあります。アオミズの果実の基部にも同様なものがあり、果実を押し出す退化雄しべだとする記載があります。同科のウワバミソウでも同じような構造なのでしょうか。



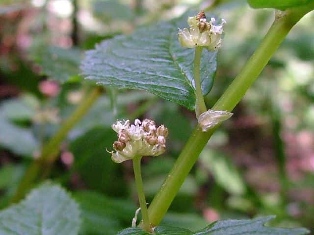
▼2019年6月6日 雄花 雄株。 八雲▼雄花は直径約5mm、花被片、雄しべ4個。▼雄花序には長い柄がある。

ウワバミソウ雄花

ウワバミソウ雄花

ウワバミソウ雄花

▼雌花序 雌株。▼雌花序にもごく短い柄がある。▼花序の総苞の縁に線形の付属体がある。

ウワバミソウ雌花

ウワバミソウ雌花

ウワバミソウ雌花

▼雌花序は5×6mm。▼総苞の線形の付属体。

ウワバミソウ雌花

ウワバミソウ雌花

ウワバミソウ雌花

▼花序に長さ1mmほどの柄がある。▼雌花は3個の花被片に包まれる。

ウワバミソウ雌花

ウワバミソウ雌花

ウワバミソウ雌花

▼花被片は軟質で取り出せない。▼果期に入った雌花。▼雌花は長さ約0.5mm、幼果(下)は1mm。

ウワバミソウ雌花

ウワバミソウ雌花

ウワバミソウ雌花

ウワバミソウ雌花

ウワバミソウ

ウワバミソウ




▼2012年5月7日 雄花 雄株。 西長江▼雄花序には長い柄がある。

ウワバミソウ雄花

ウワバミソウ雄花

ウワバミソウ雄花

▼葉は左右不対称の斜卵形。

ウワバミソウ葉

ウワバミソウ葉

ウワバミソウ葉裏面

ウワバミソウ茎

ウワバミソウ

▼2012年5月7日 雌花 雌株。 西長江▼葉腋に線形で長い托葉がある。

ウワバミソウ

ウワバミソウ

ウワバミソウ

ウワバミソウ

ウワバミソウ

▼2011年6月15日 雄株 雄花序。 大平山

ウワバミソウ

ウワバミソウ

ウワバミソウ

▼雌株 雌花序▼葉の先が尾状に伸びる。

ウワバミソウ

ウワバミソウ

ウワバミソウ

ウワバミソウ

▼2004年5月9日 雄花序には柄がある。 玉湯

ウワバミソウ

ウワバミソウ

ウワバミソウ

ウワバミソウ

ウワバミソウ

▼2005年5月28日 雄花 八雲

ウワバミソウ

ウワバミソウ

ウワバミソウ

ウワバミソウ

▼2006年5月21日 雌花(蕾)には柄がない。 八雲

ウワバミソウ

ウワバミソウ

ウワバミソウ

▼葉表に毛があるようだ。

ウワバミソウ

ウワバミソウ

▼2019年7月2日 果実 島根

ウワバミソウ果実

ウワバミソウ果実

ウワバミソウ果実

▼果序にはごく短い柄がある。

ウワバミソウ果実

ウワバミソウ果実

ウワバミソウ果実

ウワバミソウ果実

ウワバミソウ果実

ウワバミソウ果実

▼果実が出た跡。▼果実は長さ約1mm。

ウワバミソウ果実

ウワバミソウ果実

ウワバミソウ果実

ウワバミソウ

▼2012年6月26日 果実(雌花) 西長江▼短いが長さ約6mmの柄がある。

ウワバミソウ

ウワバミソウ

ウワバミソウ

▼果実が出ている。▼果実は長さ約1mm。

ウワバミソウ

ウワバミソウ

ウワバミソウ

▼ムカゴができている。

ウワバミソウ

ウワバミソウ

▼よく枝を分けるものがある。

ウワバミソウ

ウワバミソウ

ウワバミソウ

▼2010年10月23日 ムカゴ(珠芽) 島根▼節がふくらんで珠芽になる。

ウワバミソウ

ウワバミソウ

ウワバミソウ

ウワバミソウ

ウワバミソウ

▼2006年11月3日 ムカゴ(珠芽) 八雲▼節がふくらんで珠芽になる。

ウワバミソウ

ウワバミソウ

ウワバミソウ

▼葉表には毛が散生する。

ウワバミソウ

▼2009年10月11日 ムカゴ(珠芽) 八雲

ウワバミソウ

ウワバミソウ

ウワバミソウ

▼2005年4月16日 雄花(蕾) 八雲

ウワバミソウ

ウワバミソウ

▼2004年4月25日 雄花(蕾) 八雲

ウワバミソウ

ウワバミソウ



島根県松江市の野草や樹木、シダを載せています。
松江の花図鑑