ヤマモモ(山桃)

常緑高木
関東地方南部以西〜沖縄の山地に生える。高さ5〜10mになる。大きいものは高さ25m、直径1mに及ぶものもある。幹は多数枝分かれし、ほぼ球形の樹冠をつくる。樹皮は灰白色〜赤褐色。細かいちりめん状のしわがあり、老木では浅く縦に裂ける。本年枝はしばしば赤色を帯びるが、のちに灰白色になる。楕円形の皮目が多い。葉は互生。葉身は長さ5〜10cm、幅1.5〜3cmの倒披針形で革質。先端は鈍く、基部はくさび形で葉柄に流れる。縁は全縁か小さな鋸歯がまばらにある。若い木の葉には鋭い鋸歯がある。両面とも無毛。裏面には淡黄色の透明の油点が散在し、芳香のある揮発成分を含む。雌雄別株。葉の腋に円柱形の花序をだす。雄花序は長さ2〜3.5cm、雌花序は長さ約1cm。花には花被はなく、苞1個と小苞2個に包まれるが、雄花ではしばしば小苞を欠く。雄しべは5〜8個。花柱は赤色で1個、2裂して花の外につきでる。果実は核果。直径1.5〜2cmの球形で、6月に紅色〜暗赤色に熟し、食べられる。食べる部分は外果皮が液質に肥大したもので、表面には密に粒状の突起がある。核はやや扁平な卵形で、淡褐色の毛に覆われる。花期は3〜4月。(樹に咲く花)
学名は、Myrica rubra
ヤマモモ科ヤマモモ属



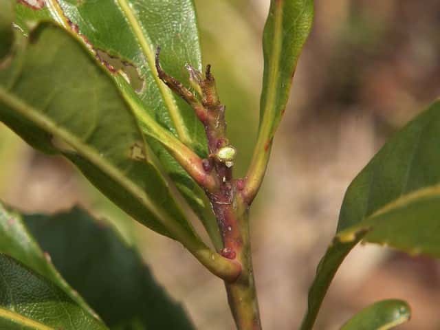
▼2017年4月19日 雌花 街路樹▼葉腋に花序を出す。▼花被はなく、花柱が2裂する。

ヤマモモ雌花

ヤマモモ雌花

ヤマモモ雌花

▼花序は長さ約2cm。▼花は苞と小苞に包まれる。▼花は花柱を含めて長さ約2mm。

ヤマモモ雌花

ヤマモモ雌花

ヤマモモ雌花

ヤマモモ雌花

ヤマモモ雌花

ヤマモモ雌花

ヤマモモ

ヤマモモ




▼2004年4月17日 雄花 植栽 公園

ヤマモモ雄花

ヤマモモ

ヤマモモ

ヤマモモ

▼2015年7月11日 果実 東出雲▼表面に粒状の突起がある。▼果実は直径約2cm。

ヤマモモ果実

ヤマモモ果実

ヤマモモ果実

▼核は長さ約1.5cm、毛に覆われている。

ヤマモモ核

ヤマモモ

ヤマモモ

▼2016年5月28日 果実 宍道

ヤマモモ果実

ヤマモモ果実

ヤマモモ

▼2006年7月15日 果実 植栽 鹿島

ヤマモモ果実

ヤマモモ果実

ヤマモモ葉

ヤマモモ果実

▼2005年12月30日 佐草

ヤマモモ葉

ヤマモモ葉

ヤマモモ葉裏面

ヤマモモ樹皮

ヤマモモ

▼2011年10月26日 宍道▼冬芽

ヤマモモ葉

ヤマモモ冬芽

ヤマモモ葉

ヤマモモ葉

ヤマモモ葉

ヤマモモ葉裏面

▼葉裏の腺点。▼枝には皮目がある。

ヤマモモ葉裏面

ヤマモモ枝

ヤマモモ樹皮

ヤマモモ

▼2012年12月3日 腺点 八雲▼腺点は直径約0.1mm。

ヤマモモ葉裏面

ヤマモモ腺点

ヤマモモ腺点

ヤマモモ

▼2011年2月26日 冬芽 玉湯▼下部から芽吹いた鋸歯のある葉。

ヤマモモ冬芽

ヤマモモ葉痕

ヤマモモ葉

▼葉の裏面▼裏面に黄色い腺点がある。

ヤマモモ葉裏面

ヤマモモ葉裏面

ヤマモモ葉裏面

ヤマモモ葉

ヤマモモ樹皮

ヤマモモ

▼2007年1月21日 冬芽 佐草

ヤマモモ冬芽

ヤマモモ葉痕

▼2014年2月16日 幼木の冬芽 玉湯

ヤマモモ冬芽

ヤマモモ冬芽

ヤマモモ幹

▼幼木の葉は鋸歯がある。▼下部の葉は葉柄を含めて約19cm。

ヤマモモ葉

ヤマモモ葉

ヤマモモ葉

ヤマモモ葉

ヤマモモ葉裏面

ヤマモモ葉裏面

▼裏面には腺点が散在する。 ▼樹皮と葉痕。

ヤマモモ葉裏面腺点

ヤマモモ葉裏面腺点

ヤマモモ樹皮

▼葉柄の基部に托葉がある。

ヤマモモ托葉

ヤマモモ

ヤマモモ

ヤマモモ

▼2007年5月3日 佐草▼若い木の葉には鋸歯がある。

ヤマモモ葉

ヤマモモ葉裏面

ヤマモモ葉裏面

ヤマモモ冬芽

ヤマモモ

ヤマモモ樹皮

▼2006年1月11日 葉裏 佐草

ヤマモモ葉裏面

ヤマモモ葉裏面



島根県松江市の野草や樹木、シダを載せています。
松江の花図鑑